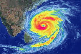
தென்கிழக்கு வங்காள விரிகுடாவில் நிலைகொண்டிருந்த காற்றழுத்தத் தாழ்வு நிலையானது, சூறாவளியாக வலுப்பெற்றுள்ளது.
‘மொன்தா’ எனப் பெயரிடப்பட்டுள்ள இப்புயலானது முல்லைத்தீவுக்கு வடகிழக்கே சுமார் 600 கி.மீ தொலைவில் மையம் கொண்டிருந்தது.
இது வட-வடமேற்கு நோக்கி நகர்ந்து, இன்று செவ்வாய்கிழமை கடுமையான சூறாவளியாக வலுப்பெறும் என்று வளிமண்டலவியல் திணைக்களம் எதிர்வு கூறியுள்ளது.
எனவே காங்கேசன்துறையிலிருந்து திருகோணமலை வழியாக மட்டக்களப்பு வரையான கடற்பகுதிகளுக்கு மீனவர்கள் மற்றும் கடற்படையினர் மறு அறிவித்தல் வரை செல்ல வேண்டாம் என எச்சரிக்கப்பட்டுள்ளனர்.
மேலும் சிலாபத்திலிருந்து மன்னார் வழியாக காங்கேசன்துறை வரையான கடற்பகுதிகளிலும், காலி முதல் அம்பாந்தோட்டை வழியாகப் பொத்துவில் வரையான கடற்பகுதிகளிலும் நடவடிக்கைகளில் ஈடுபடும் கடற்படையினர் மற்றும் மீனவர்கள் இது தொடர்பாக விழிப்புடன் இருக்குமாறும் அறிவுறுத்தப்பட்டுள்ளனர்.


















